| ID # | H6286901 |
| 物件の詳細 | 外装: 0.59 エーカー |
| 税金(年間) | $10,492 |
![]() |
再上市; 取引が成立しませんでした。静かで穏やかな環境。この非常に魅力的な地域は、あなたの夢の家を建てるのに最適な場所です。ロット6は、名門ノールウッドカントリークラブエステートに位置する空き地です。この魅力的な地域で不動産を所有する絶好のチャンスです。静かなクul de sacにある唯一のロットで、二重の出入口アクセスが可能です。これにより、特定の物件への出入りが2通りできます。これは望ましいロケーションです。チャンスを逃さないでください。興味のある方には新築計画が利用可能です。開発業者は、購入者の仕様に合わせて新しい家を建設・カスタマイズすることを歓迎します。また、独自のビルダーを持ち込むことも可能です。ヴァルハラ学区の利用可能性もあります。
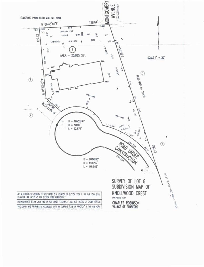
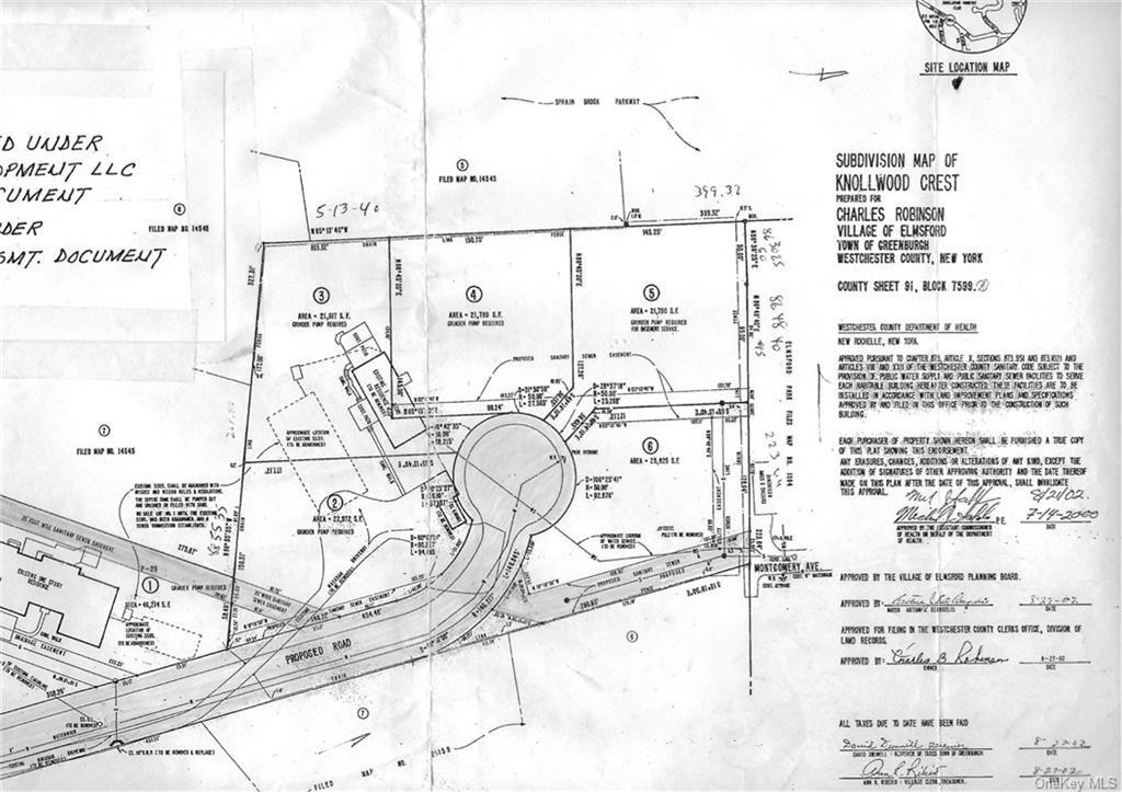
土地の寸法をよりよく理解するために、リスティングに提供されたノールウッドクレストの区画図を参照してください。この物件は地図上のロット6で、右下隅にあります。調査も含まれています。道路工事は完了しています。追加情報: 土壌の種類: 不明、
BACK ON THE MARKET; Deal fell through. Peaceful And Tranquil Setting. This highly attractive neighborhood is the perfect place to build your dream home. Lot 6 is vacant land located in the Prestigious Knollwood Country Club Estates. This is THE PERFECT opportunity to own real estate in this very attractive neighborhood. THE ONLY lot on this quiet cul de sac that offers dual entrance and exit access points. That provides for 2 ways in and out of your specific property. This is a desirable location. Do not miss your chance. New build plans are available for interested parties. Developer willing to construct & customize a new home to buyers' specifications, or you may bring your own builder. Possible Valhalla School District availability.
Refer to the Subdivision Map of Knollwood Crest provided in the listing for a better view of the lot dimensions. This property is Lot 6 on the map, lower right corner. Survey also included. Road construction is complete. Additional Information: SoilType:Unknown, © 2025 OneKey™ MLS, LLC





