| ID # | M419986 |
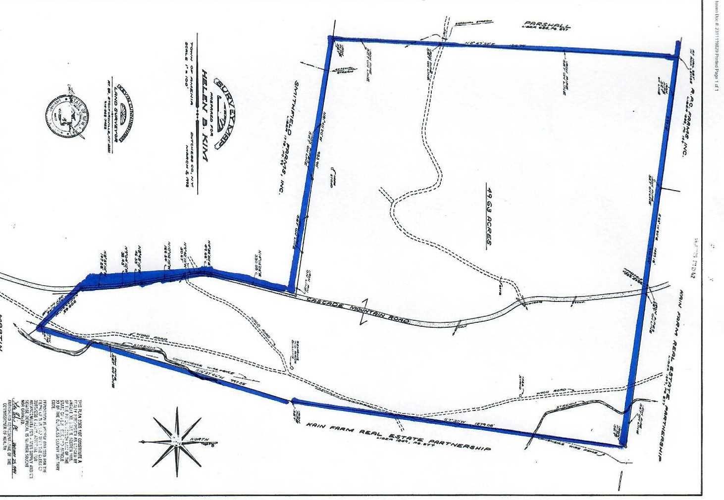
| 物件の詳細 | 外装: 49.63 エーカー |
| 税金(年間) | $6,100 |
![]() |
現代的な家や丸太小屋に最適な場所を見つけましょう - 森の静けさに包まれた丘の上のプライベートな土地。これらの理想的な家の敷地は、都市生活の喧騒からの理想的な避難所を提供します。ワサイック駅やハーレム・バレー・レール・トレイルから車で数分のこの場所は、あなたの逃避行を計画することを促します。ハイキングブーツを履いて、次の冒険に出発するためのツアーをスケジュールしましょう。プライベート、森林に囲まれた面積: 49.63エーカー。
Discover the perfect spot for your modern or log home - a private parcel perched on a hill, embraced by the tranquility of the forest. These idyllic home sites provide an ideal retreat from the hustle and bustle of city life. Just minutes away from the Wassaic Train Station and the Harlem Valley Rail Trail, this location invites you to plan your escape. Lace up your hiking boots and schedule a tour to embark on your next adventure. PRIVATE,Wooded Acres:49.63 © 2025 OneKey™ MLS, LLC







