| ID # | H6277946 |
| 物件の詳細 | 外装: 1.22 エーカー |
| 税金(年間) | $1,950 |
![]() |
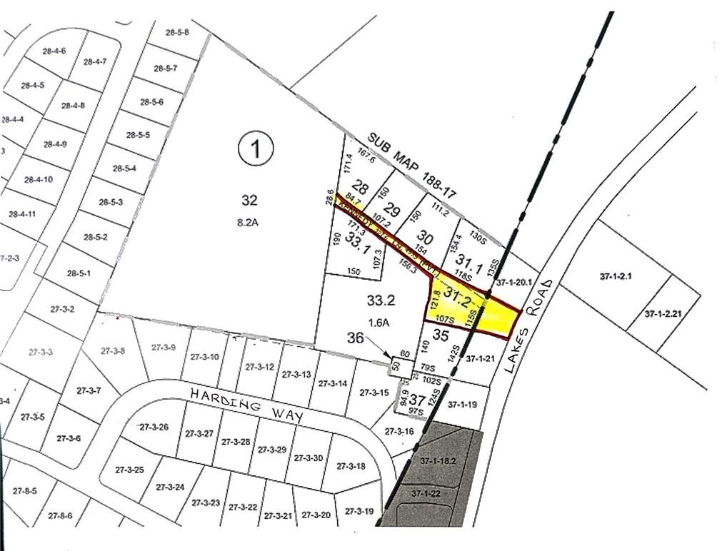
夢の家を建てに来てください。区画はチェスター町とモンロー町にあり、人気のモンロー - ウッドベリー学区に属しています。1つの価格で2つの区画を購入します。チェスター町 セクション15、ブロック1、区画32.2とモンロー町 セクション37、ブロック1、区画20.2です。
Come build your dream home. The lots are located in the Town of Chester and Town of Monroe sought after Monroe - Woodbury School District.
You are buying two lots for the price of one. Town of Chester Section 15, Block 1, Lot 32.2 and Town of Monroe Section 37, Block 1, Lot 20.2 © 2025 OneKey™ MLS, LLC







