| ID # | H6325454 |
| 物件の詳細 | 外装: 29.2 エーカー |
| 税金(年間) | $6,623 |
![]() |
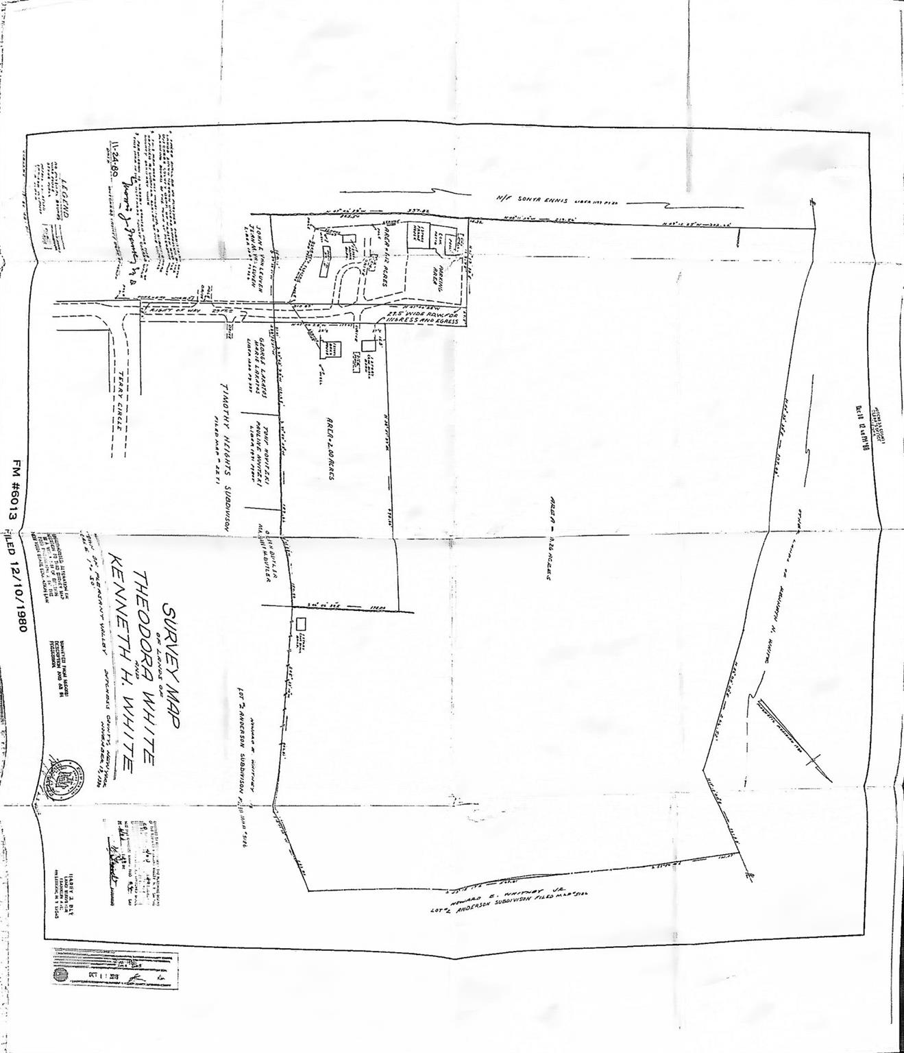
注意、建設業者の皆様。合計29.2エーカーの2つの区画で、約18エーカーの平坦でクリアされた土地があります。区画分割の可能性があるこの素晴らしい物件をぜひご覧ください。道路の端に位置しています。物件には区画1344006363033554200000が含まれています。評価と税金は両方の区画の合計です。
Attention builders. 2 parcels totaling 29.2 acres with approximately 18 acres of level cleared land. Definitely worth taking a look at this wonderful property with subdivision possibilities. Located at the end of the road. Property includes parcel 1344006363033554200000. Assessment and taxes are the total for both parcels. © 2025 OneKey™ MLS, LLC







