| ID # | H6330729 |
| 物件の詳細 | 外装: 8.89 エーカー |
| 税金(年間) | $6,379 |
![]() |
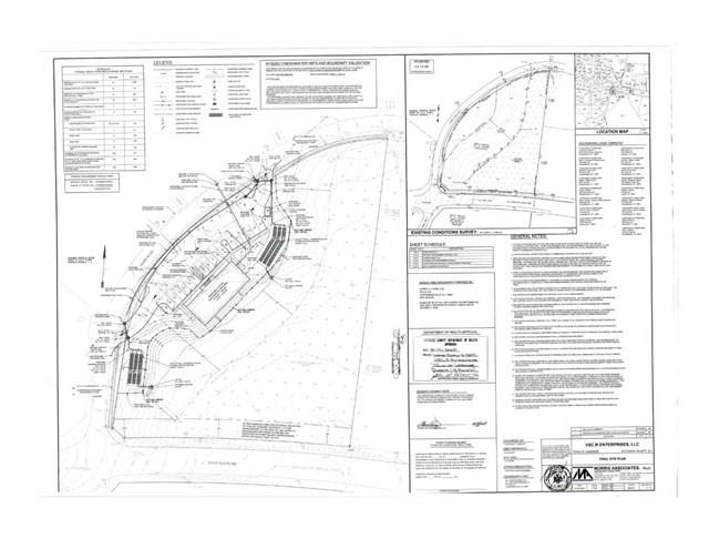
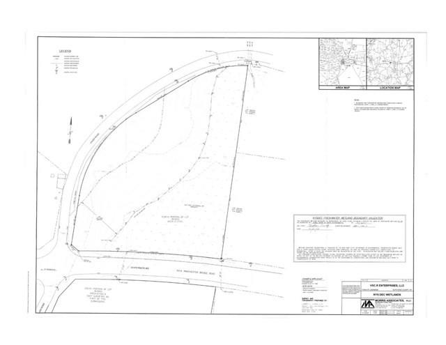
ラグレーンスタウンセンターでビジネスを展開しませんか。州道55号線に面した北側(2.39エイカー)と南側(6.5エイカー)の計8.89BOHA(BOHAは現在の計画に基づいており、再認証が必要です。または独自の計画を作成し町の承認を得ることも可能です)商業用地を購入するユニークな機会です。この高い視認性を持つ立地は、大規模な昼間の交通量に対応しており、タコニック州立公園まで約1マイル、メトロノース鉄道まで15分です。6,000平方フィートの構造物が以前に承認されており、ドライブスルーウィンドウも承認済み、駐車場、景観、公共施設、町の水道が整っています。この物件は多様な用途に適しています(詳細については代理人に付属文書を確認してください)。
Build your business in the LaGrange Town Center. Unique opportunity to purchase 8.89 BOHA (BOHA is for current plans in place and needs to be recertified, or you can create your own plans and move forward for town approval) commercial acres with frontage along State Route 55 on both north side (2.39 acres) and south side (6.5 acres), bordering Lauer Rd. This high visibility location caters to a large daily traffic count and is approximately 1 mile to the Taconic State Pkwy and 15 minutes to Metro North Rail. Previously approved for a 6,000 sq. ft. structure, drive-through window approved, parking lot, landscape, utilities and town water. Property is suited for a multitude of uses (ask your agent to see attached documents for details). © 2025 OneKey™ MLS, LLC







