| MLS # | L3592909 |
| 物件の詳細 | 外装: 0.03 エーカー (DOM): 343 days |
| 税金(年間) | $1,410 |
| バス | 1 分: B17 |
| 3 分: B6, B82 | |
| 4 分: B42, B60 | |
| 地下鉄 | 6 分: L |
| LIRR | 2.3 マイル: "East New York" |
| 3.3 マイル: "Nostrand Avenue" | |
![]() |
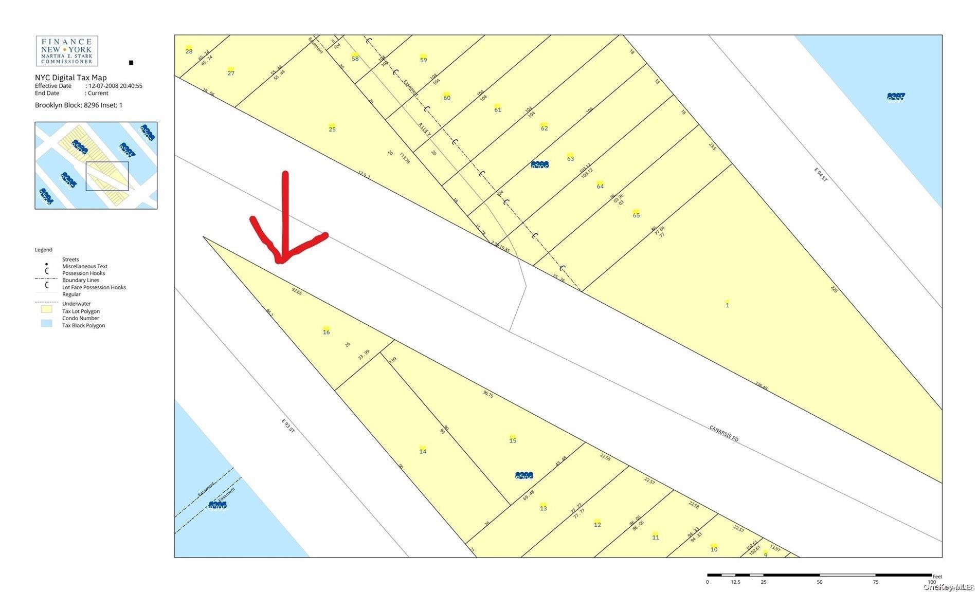
空き地の角地、カナースィー公園から1ブロックの距離!住宅用地域に指定されています。ゾーニング地区 R5。税ブロック番号8296、税ロット番号16。隣接する物件の住所は1644カナースィーロードです。
Vacant corner lot down the block from Canarsie Park! Zoned Residential. Zoning District R5. Tax Block # 8296, Tax Lot # 16. Adjoining property address is 1644 Canarsie Road. © 2025 OneKey™ MLS, LLC






