| ID # | 882180 |
| 物件の詳細 | 外装: 7.8 エーカー (DOM): 128 days |
| 税金(年間) | $3,472 |
![]() |
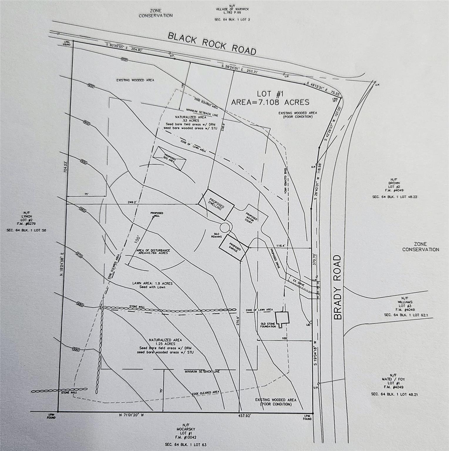
あなたの比類のないカスタムホームのビジョンはここワーウィックで始まります!この綿密に設計された用地は、あなたの夢の住居を実現するための非常にスムーズな道を提供します。初期計画の複雑さを回避し、価格にはすでに承認された家のプランが含まれているため、即座に工事を開始する準備が整っています。電気やガスなどの基本的なユーティリティも readily available で、スムーズで効率的な建設プロセスが保証されています。非常に人気のあるエリアに理想的に位置するこの物件は、穏やかな田舎の生活を約束しながら、ワーウィック村の魅力的なダウンタウンやブティックショップ、活気あるアトラクションがすぐそこにあるという並外れた便利さを兼ね備えています。この広大な土地は、馬術愛好家に最適な潜在的な農場の機会も提供します。
Your unparalleled vision of a custom home begins here in Warwick! This meticulously engineered parcel offers an exceptionally streamlined path to realizing your dream residence. Bypass the complexities of initial planning, as this prime lot includes already approved house plans within the price, preparing you for an immediate groundbreaking. All essential utilities, including electric and gas, are readily available, ensuring a smooth and efficient build process. Idyllically situated in a highly sought-after location, this property promises serene country living seamlessly blended with the unparalleled convenience of Warwick Village's charming downtown, boutique shops, and vibrant attractions, all just moments away. This expansive land also presents an ideal opportunity for a potential farm, perfect for equestrian enthusiasts. © 2025 OneKey™ MLS, LLC





