| MLS # | 902655 |
| 税金(年間) | $2,000 |
| LIRR | 1.1 マイル: "Ronkonkoma" |
| 4.1 マイル: "Central Islip" | |
![]() |
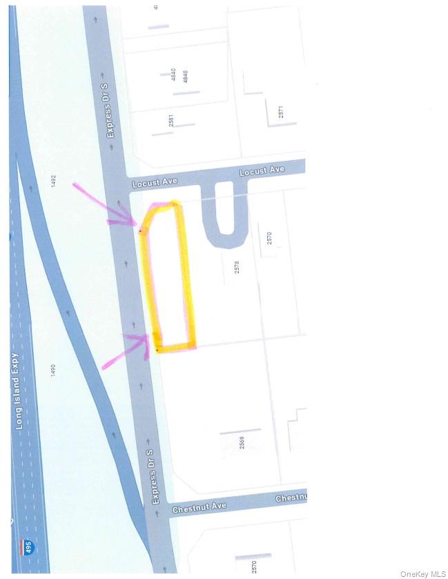
高視認性のロット、プライムロンコンコマのロケーション!
ロングアイランドエクスプレスウェイ(I-495)の出口61からすぐのエクスプレスウェイドライブサウスに位置する、建築不可のユニークなロットを所有するチャンスを発見してください — 優れた視認性と簡単なアクセスを提供します。ロコストアベニューとエクスプレスウェイドライブサウスの角に位置し、この物件は長さ約200フィート、幅50フィートです。
ストレージ、駐車、または設備配置に最適なこのロットは、視認性が高く便利な場所を求めるビジネスにとって素晴らしい露出を提供します。交通量が多く、主要道路に近いため、車両の保管、小さな資材の保管、または看板の機会にも最適です。
無限の可能性が待っています — 今日、ロンコンコマのこの珍しい高視認性のロットを利用してください!
High-Visibility Lot in Prime Ronkonkoma Location!
Discover this unique opportunity to own a non-buildable lot perfectly situated on Expressway Drive South, right off Exit 61 on the Long Island Expressway (I-495) — offering excellent visibility and easy access. Located at the corner of Locust Avenue and Expressway Drive South, this property measures approximately 200 feet in length by 50 feet wide.
Ideal for storage, parking, or equipment placement, this lot offers great exposure for a business seeking a visible and convenient location. With heavy traffic flow and proximity to major roadways, it’s a perfect spot for vehicle storage, small material storage, or signage opportunities.
Endless possibilities await — take advantage of this rare, high-visibility lot in Ronkonkoma today! © 2025 OneKey™ MLS, LLC







