| ID # | 878083 |
| 物件の詳細 | 1 寝室, 1 バスルーム, ガレージ, 外装: 1.6 エーカー, 内装: 600 ft2, 56m2 (DOM): 74 days |
| 建築年 | 1968 |
| 税金(年間) | $1,628 |
| ガレージタイプ | 独立型 Detached |
![]() |
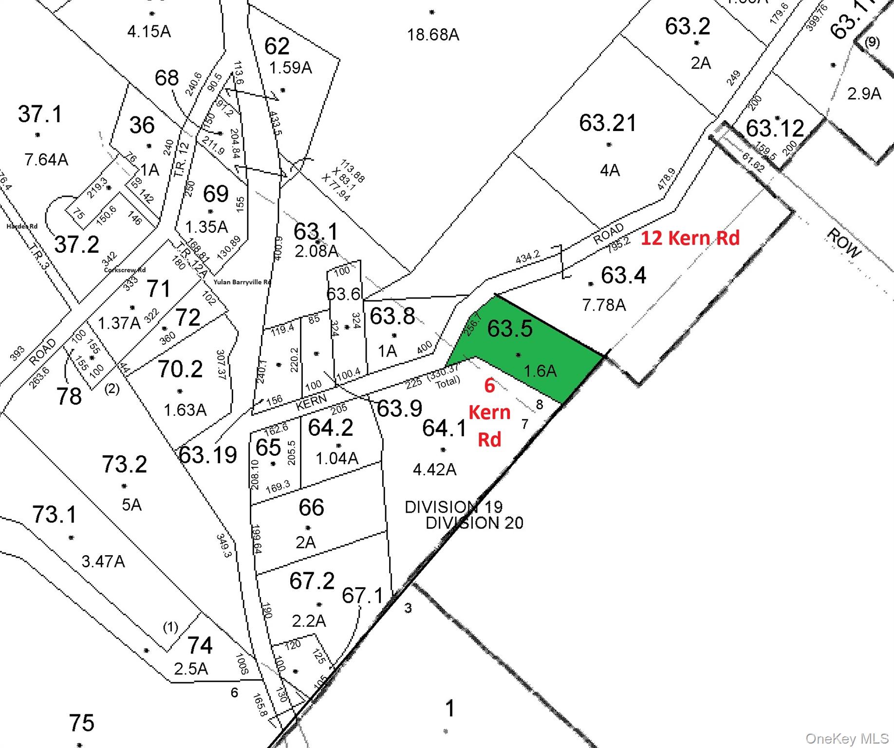
チャンス到来!静かなプライベートロードに位置するこの1.6エーカーの物件は無限の可能性を秘めています。既存の建物を取り壊したモバイルホームは、同じフットプリントの上に再建設するか、あなたの夢の新築に置き換えることができます。敷地内には独立したガレージもあり、追加の収納や作業スペースとして活用できます。アップステートのオアシスを作りたいと考えているなら、バーリービルの中心部とデラウェア川からわずか数分のこの完璧な場所から始めてみてください。待たずに今すぐお電話を!
Opportunity knocks! This 1.6-acre property on a quiet, private road offers endless potential. The existing tear-down mobile home can be rebuilt on the same footprint or replaced with your dream new build. A detached garage on site adds extra storage or workspace. If you've been thinking about creating your own upstate oasis, this is the perfect place to start, located just minutes from the heart of Barryville and the Delaware River. Don't wait-call today! © 2025 OneKey™ MLS, LLC







