| ID # | 913601 |
| 物件の詳細 | 外装: 0.05 エーカー (DOM): 46 days |
| 税金(年間) | $1,767 |
![]() |
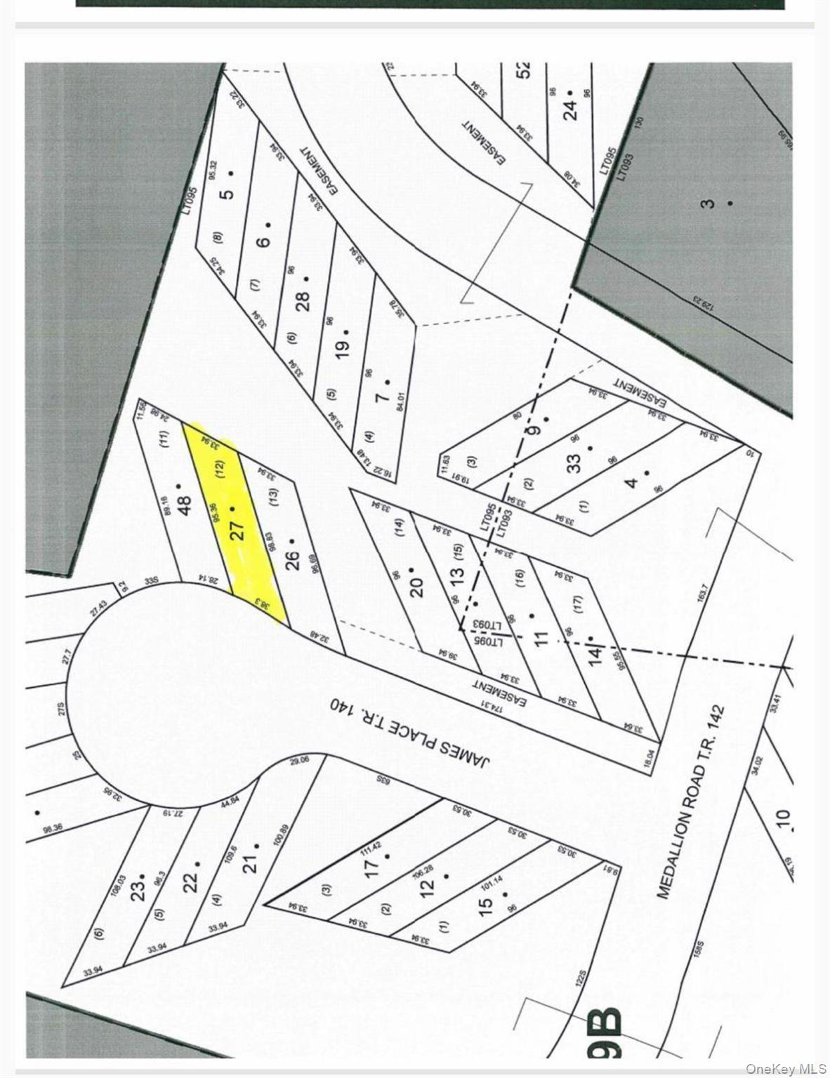
以前の構造物が解体された土地に新しいタウンハウスを建設する独自の機会です。基礎はすでに築かれており、販売には新しい建設のための承認済みの工学計画が含まれています。この区画は、クラブ、プール、遊び場などの設備が整ったキアメシャレイク・パティオホーム開発に位置しています。ショッピングセンター、医療施設、湖などの近く、便利な場所にあります。
A unique opportunity to build a new townhouse on a property where the previous structure was demolished. The foundation has already been laid, and the sale includes approved engineering plans for the new build. The parcel is located in kiamesha lake Patio homes development with amenities like the club, pool , playgrounds etc Centrally located near shopping centers, medical facilities, lakes and more © 2025 OneKey™ MLS, LLC







