| ID # | 914041 |
| 物件の詳細 | 外装: 0.12 エーカー (DOM): 141 days |
| 税金(年間) | $8,420 |
![]() |
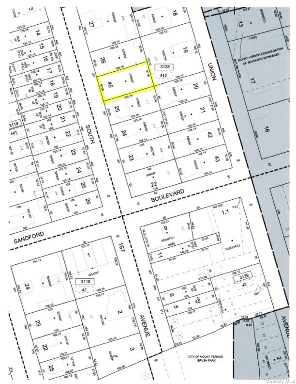
マウントバーノン、ニューヨークのプライム開発機会 - 既存の基礎を持つ建設準備完了。開発者や投資家の皆様、これは静かで復活しているマウントバーノンの近隣において、スコップが準備されたサイトを確保するチャンスです。この5,226平方フィートの空き地には完成した基礎があり、RMF-6.75ゾーニング地区内に位置しており、住宅用の多世帯開発機会を提供します。
静かな通りに位置するこの物件は、近隣の魅力と都市の便利さを完璧に融合させています。ほんの短い距離を歩けば、CVS、ターゲット、人気のファーストフードチェーンなどの全国的な小売業者が見つかり、日常の便利さを求める未来の住民にとって魅力的なエリアです。車で5分の距離にはペラムマナーのショッピング地区があり、BJ’s Wholesale、マイケルズ、ショップライト、パネラ・ブレッド、デイブ&バスターズ、24時間フィットネス、ホームグッズ、IHOP、スマッシュバーガー、シティバンクおよびチェース銀行があります。
通勤者と住民の皆様は、ハッチンソンリバーパークウェイやI-95などの主要高速道路への簡単なアクセスを評価することでしょう。これにより、ウェストチェスターおよびニューヨークシティへの移動が迅速かつ簡単になります。基礎がすでに整っているため、初期の基盤工事は多くが完了しています—これにより、時間と費用を節約できます。賃貸資産を建設することを考えている方や、新しい住宅ユニットを成長市場に販売することを検討している方にとって、これは長期的な上昇と需要の増加が期待できる場所です。この投資機会をお見逃しなく。
Read the English version or choose another language







