| ID # | 917544 |
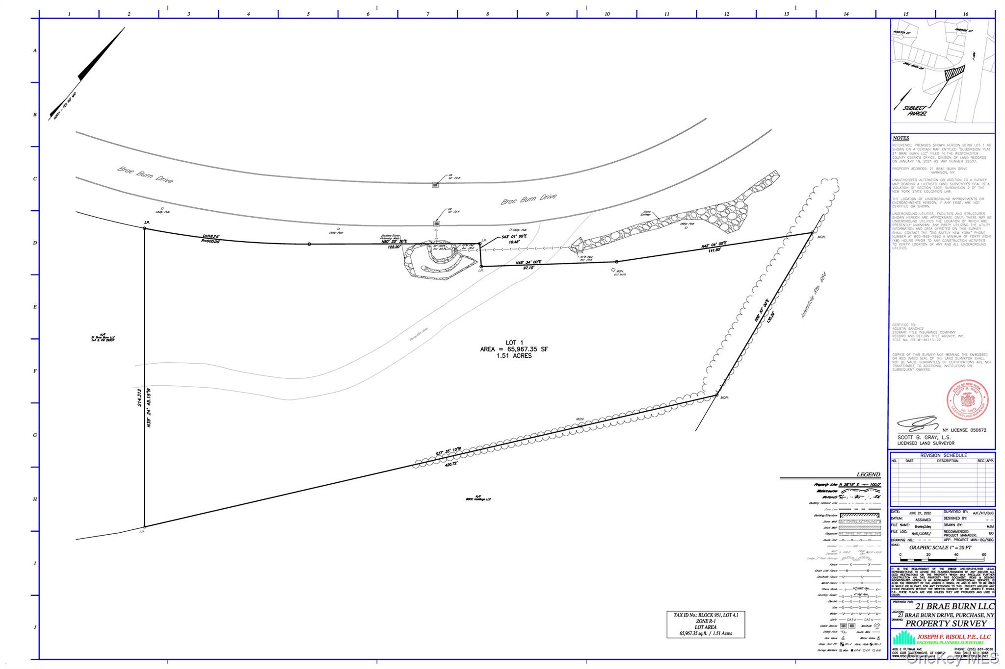
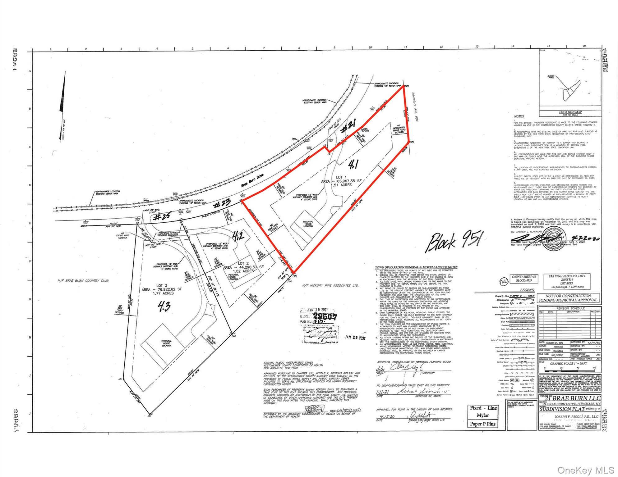
| 物件の詳細 | 外装: 1.51 エーカー (DOM): 33 days |
| 税金(年間) | $7,005 |
![]() |
ニューヨーク州ハリソン、ブレイバーン・ドライブ21 - 名門ブレイバーンカントリークラブを見渡す1.51エーカーの土地にあなたの夢の邸宅を創造してください。R1ゾーニングで、湿地なし、プライベートドライブウェイ、すべての承認が取得済みのため、容易に建設を開始できます。学校、ショップ、幹線道路に近く、プライバシーと便利さの完璧なバランスを楽しめます。ハリソン高校の評価の高い国際バカロレアプログラムも魅力を加えています。
21 Brae Burn Drive, Harrison, NY – Create your dream estate on 1.51 acres overlooking the prestigious Brae Burn Country Club. With R1 zoning, no wetlands, a private driveway, and all approvals secured, construction can begin with ease. Enjoy the perfect balance of privacy and convenience near schools, shops, and parkways. Harrison High School’s acclaimed International Baccalaureate program adds to the appeal. © 2025 OneKey™ MLS, LLC






