| ID # | 925925 |
| 物件の詳細 | 外装: 0.36 エーカー (DOM): 15 days |
| 税金(年間) | $881 |
![]() |
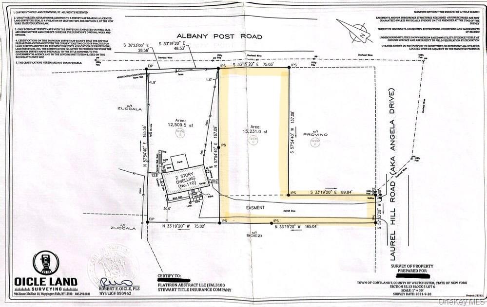
コートランドの望ましいクロトン・オン・ハドソンにあるローレルヒルロードの建設可能な一戸建て用地が利用可能です。ローレルヒルロードとオールバニ・ポストロードの100ブロックに位置しています。優れた立地です。ヘンドリック・ハドソン学区。
Buildable single family lot available on Laurel Hill Road in desirable Croton On Hudson in the town of Cortlandt. Located on 100 block of Laurel Hill Road and Albany Post Road. Prime Location. Hendrick Hudson School District. © 2025 OneKey™ MLS, LLC







