| ID # | 891151 |
| 物件の詳細 | 外装: 55.92 エーカー (DOM): 107 days |
| 税金(年間) | $1,896 |
![]() |
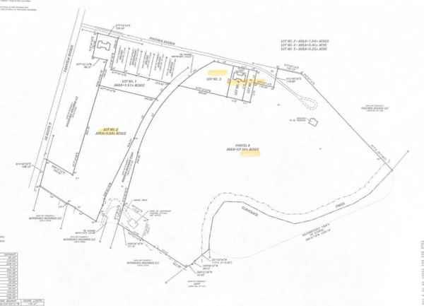
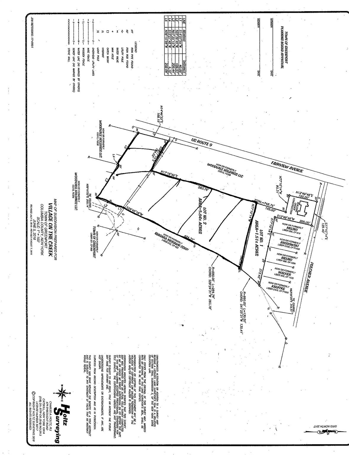
ハドソン-グリーンポートの商業および住宅エリアの中心にある混合住宅および商業開発の信じられない機会です。公共下水道と水道、電気およびガスのアクセスがあります。アムトラック駅に近いです。許可されたゾーニングと開発に親しい地元の役人がいます。フェアビューアベニューの大通りから離れた素晴らしいプライベートロケーションです。ショッピングとエンターテインメントへの便利さと、住民のプライバシーの両方のベストを兼ね備えています。ルート9、タコニックパークウェイ、ニューヨーク州スルーウェイ、キャッツキルズおよびバークシャーズへのアクセスも簡単です。また、修復が必要な2ファミリー住宅と2つの小さな土地と一緒に利用可能です。
Incredible opportunity for mixed residential and commercial development in the heart of the Hudson-Greenport commercial and residential area. Access to public sewer and water, electric and gas. Close to Amtrak station. Permissible zoning and development friendly local officials. Great private location, set back from the Fairview Avenue thoroughfare. The best of both worlds: convenience to shopping and entertainment, yet privacy for residents. Easy access to Route 9, the Taconic Parkway, The New York State Thruway, the Catskills & the Berkshires. Also available together with a 2 Family needing restoration and 2 small lots. © 2025 OneKey™ MLS, LLC






