| ID # | 903891 |
| 物件の詳細 | 外装: 2.7 エーカー (DOM): 223 days |
| 管理費 | $50 |
| 税金(年間) | $315 |
![]() |
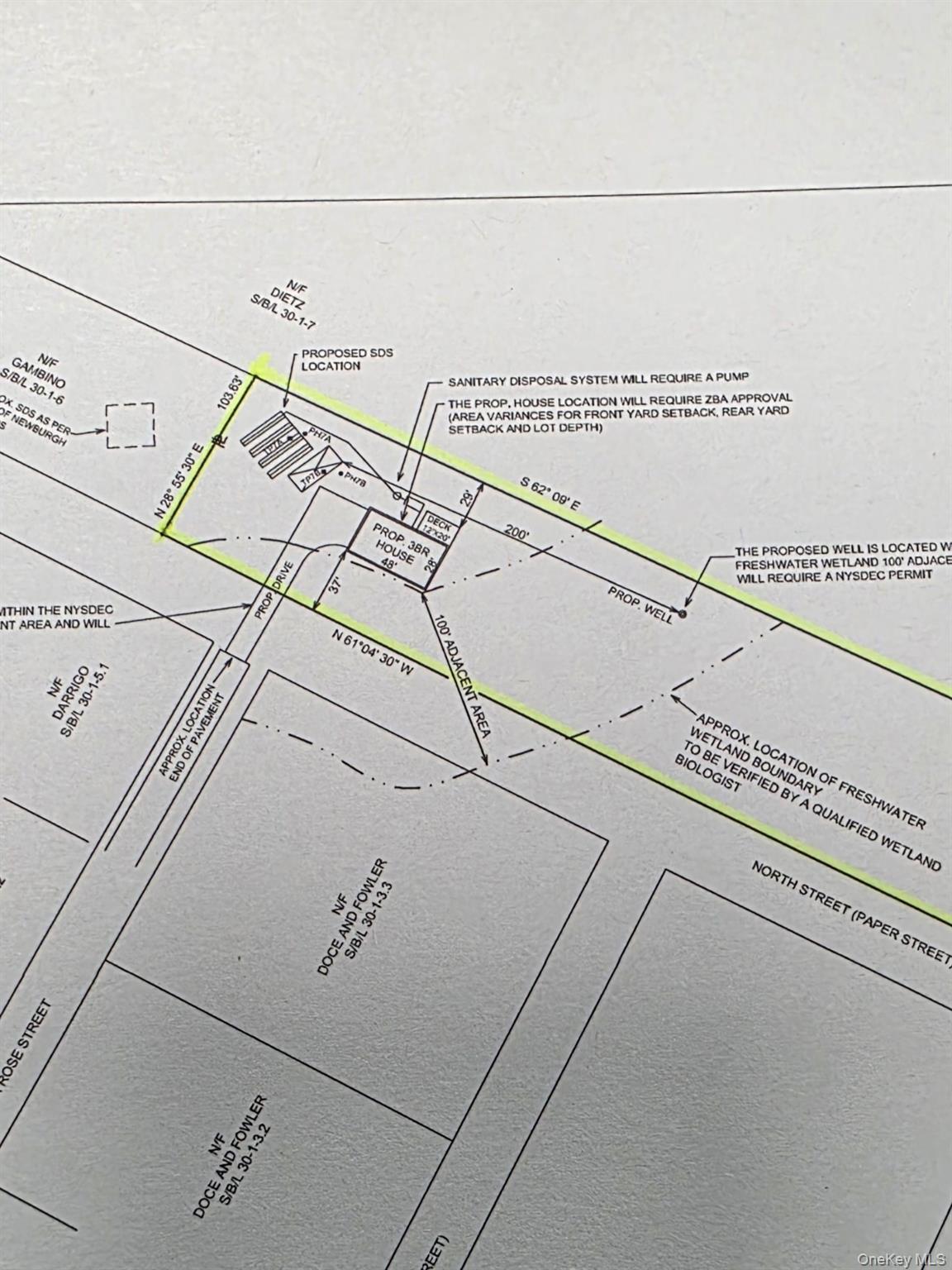
受け入れたオファー 2-10-26。バックアップ用に表示。オレンジレイクへようこそ。非常にプライベートで木々がまばらな2.7エーカーの土地は、静かな私道の終わりにあります。湖へのアクセスは権利書に記載されているため、いつでもお好きなときにあなたの遊び道具を出し、この素晴らしい湖を一年中楽しむことができます。予備のエンジニアリングとパークテストは実施済みです。町はあなたの計画を必要としています。約1エーカーは使える土地で、エンジニアの文書によると家は約2000平方フィートです。レンダリングも利用可能です。仲介業者は興味を示しています。
Accepted offer 2-10-26. Show for back ups. Welcome to Orange Lake. Very private lightly wooded 2.7 acre lot is at the end of quiet private road. Lake access is in your deed so you can launch your toys and use this gem of a lake all year long. Preliminary engineering and perc tests have been done. Town needs your plans. About 1 acre is usable land and house on engineer doc is appx 2000 sf. Renderings are also available. Broker states interest.
This information is not verified for authenticity or accuracy and is not guaranteed and may not reflect all real estate activity in the market. Listing courtesy of Keller Williams Realty © 2026







