| ID # | 927805 |
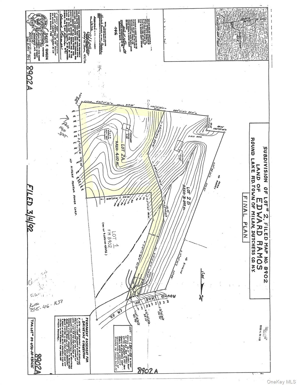
| 物件の詳細 | 外装: 4.11 エーカー (DOM): 105 days |
| 税金(年間) | $889 |
![]() |
美しいBOHA建築用地(ボードオブヘルス承認)ラウンドレイクロードにある丘の上に位置する4.11エーカーの素晴らしい土地。絵のように美しい自然環境に静かに隠れているが、ラインベックとレッドフックの両方から車で12分以内、ラインクリフ駅までわずか15分の便利な場所にあります。
本当に美しい場所で — 完全に理解するためには見る必要があります!
Read the English version or choose another language







